У метромоста сделают новую развязку
28.08.2025 1171
Проект разработает Омская компания «Автодорпроект».
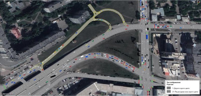
Как сообщил в своем телеграм-канале мэр Омска Сергей Шелест, определен подрядчик разработки проектной документации и организации выполнения отдельных видов проектно-изыскательских работ по строительству транспортной развязки в границах улиц Добровольского – Орджоникидзе – Красный путь. Контракт с омской компанией «Автодорпроект» на сумму 10,7 млн рублей планируется заключить в начале сентября.
Подрядчик должен разработать оптимальный вариант размещения новой 2-полосной дороги протяженностью 400 метров, тротуарами, ливневой канализацией и освещением. В проект строительства также будут включены работы по благоустройству и озеленению территории, прилегающей к развязке.
Завершить работы и получить положительное заключение государственной экспертизы проектной организации необходимо до конца июля 2026 года.
Теги: Омск, строительство
Подписывайтесь на новости недвижимости в Омске от omskrielt.com во ВКонтакте
